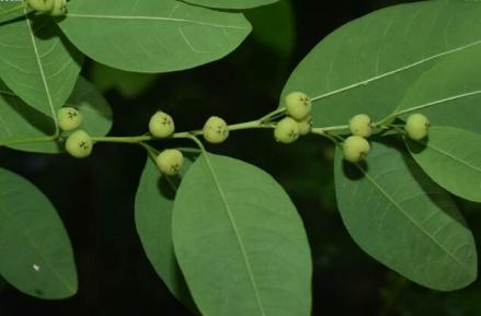
一叶萩(Flueggea suffruticosa (Pall.) Baill.)是叶下珠科白饭树属的落叶小灌木; [9]茎多分枝;小枝浅绿色,近圆柱形,有棱槽,有不明显的皮孔;片纸质,椭圆形或长椭圆形,稀倒卵形,全缘或间中有不整齐的波状齿或细锯齿,下面浅绿色;花小,单性,雌雄异株;蒴果三棱状扁球形,成熟时淡红褐色,有网纹;花期3-8月,果期6-11月。 [10]
一叶萩除西北地区外,在中国各地区均有分布,生于山坡灌丛中或山沟、路边,海拔800-2500米;喜肥沃疏松的土地、向阳平地或山坡。 [11-12]一叶萩繁殖主要以种子繁殖。 [13]
一叶萩味甘、苦、平、有毒;其枝、叶、花入药具有活血通络,健脾化积,补肾强筋等功效,用于治疗面神经麻痹,小儿麻痹后遗症,眩晕,耳聋,神经衰弱,嗜睡症,阳痿等。 [12] [14]一叶萩在园林中可作护坡及遮蔽污地之用,配植于山石也很适宜,观赏价值很高。 [15]一叶萩的茎皮纤维为纺织原料;枝条可编制用具。
中文名一叶萩
拉丁学名Flueggea suffruticosa (Pall.) Baill. [9]
别 名叶底珠
界植物界
纲木兰纲
目金虎尾目
科叶下珠科
属白饭树属
种一叶萩
分布区域分布于中国、蒙古、俄罗斯、日本、朝鲜等地,中国各省区均有分布。
命名者及年代(Pall.) Baill.,1858
保护级别列入《中国生物多样性红色名录-高等植物卷》(2013年9月2日)——无危(LC)
灌木,高1-3米,多分枝;小枝浅绿色,近圆柱形,有棱槽,有不明显的皮孔;全株无 毛。叶片纸质,椭圆形或长椭圆形,稀倒卵形,长1.5-8厘米,宽1-3厘米,顶端急尖至钝,基部钝至楔形,全缘或间中有不整齐的波状齿或细锯齿,下面浅绿色;侧脉每边5-8条,两面凸起,网脉略明显;叶柄长2-8毫米;托叶卵状披针形,长1毫米,宿存。 [1] [17]
花小,雌雄异株,簇生于叶腋;雄花:3-18朵簇生;花梗长2.5-5.5毫米;萼片通常5,椭圆形、卵长1-1.5毫米,宽0.5-1.5毫米,全缘或具不明显的细齿;雄蕊5,花丝长1-2.2毫米,花药卵圆形,长 0.5-1毫米;花盘腺体究退化雌蕊圆柱形,高0.6-1毫米,顶端2-3裂;雌花:花梗长2-15毫米; 萼片5,椭圆形至卵形,长1-1.5毫米,近全缘,背部呈龙骨状凸起;花盘盘状,全缘或近全缘;子房卵圆形,3(-2)室,花柱3,长1-1.8毫米,分离或基部合生,直立或外弯。蒴果三棱状扁球形,直径约5毫米,成熟时淡红褐色,有网纹,3爿裂;果梗长2-15毫米,基部常有宿存的萼片;种子卵形而-侧扁压状,长约3毫米,褐色而有小疣状凸起。花期3-8月,果期6-11月。 [1]
|
一叶萩
|
||
|---|---|---|
|
枝叶
|
茎多分枝;小枝浅绿色,近圆柱形,有棱槽,有不明显的皮孔;片纸质,椭圆形或长椭圆形,稀倒卵形,全缘或间中有不整齐的波状齿或细锯齿,下面浅绿色
|
小枝具纵棱槽,有皮孔;全株无毛。叶呈椭圆形,长圆形或近圆形,下面白绿色,托叶披针形
|
|
花果
|
花小,单性,雌雄异株;蒴果三棱状扁球形,成熟时淡红褐色,有网纹
|
花多朵簇生叶腋,苞片鳞片状,花药椭圆形,萼片与雄花同,花盘环状,子房卵圆形;蒴果浆果状,近球形
|
|
图片
|
生长于海拔800-2500米的山坡灌丛中或山沟、路边。 [1]对土壤要求不严,但以肥沃疏松者为好。 [2]喜肥沃疏松的土地、向阳平地或山坡。 [11-12]
生物学特性
一叶萩是雌性异株植物,雌株多为不足半米的短枝,着生在老枝或老根上,可通过地下根茎繁殖也可通过种子繁殖。一叶萩的营养生长和生殖生长具有较强的季节性,每年4月下旬左右,在老枝和老根上萌发出新的枝条或植株;5月进入花期,雌花开放晚于雄花;6-7月进入盛花期和果期;10-11月果实发育成熟。观察发现,不同树龄的植株开花时间和开花树龄也有很大差异,树龄较大的植株开花时间较早,数量也相对较多。 [3]
胚珠的发育
一叶萩雌花子房上位,子房壁较厚,腹缝线聚合形成中轴胎座。雌花内的维管束从花柄基部开始分支,分别进入子房、蜜腺和萼片等结构,其中花柱维管束通过珠柄进入胚珠;心皮中含3条心皮腹束和多条心皮背束;胎座内的维管束经珠柄以及合点进入胚珠。解剖结构表明,花柱结构为开放型,花柱中央有一条较窄的中空沟道为花柱道,花粉管经过花柱道到达珠孔位置。 [3]
子房壁的内表皮下的细胞局部平周分裂,产生突起形成胚珠原基。原基的顶端发育为珠心,基部发育为珠柄。珠被由内外两层构成,内珠被最先发生,外珠被包被在最外面,珠被向上生长将珠心包围。珠心区域的细胞发生特化,形成喙状结构即珠心喙(nucellar beak);胎座上部的部分细胞衍生形成薄壁的毛状细胞为珠孔塞,呈盖状在珠心上部。 [3]
大孢子发生
最初珠心是一团均一的薄壁细胞,随后在珠孔端表皮下产生孢原细胞,体积大,细胞质浓厚,细胞核明显。孢原细胞又分裂形成周缘细胞和造孢细胞。周缘细胞进一步分裂形成多层周缘组织,为厚珠心胚珠;造孢细胞直接发育为大孢子母细胞。大孢子母细胞经过减数分裂Ⅰ期,形成两个细胞,减数分裂Ⅱ期形成四个大孢,纵行排列呈直线型。之后近珠孔端的三个大孢子退化,仅合点端的大孢子成为功能性大孢子,发育形成单孢子蓼型胚囊(monosporic embryo sac)。 [3]
雌配子体发育
随着发育的进行,功能大孢子体积明显增大,发育成单核胚囊,随后发生第一次有丝分裂形成两核并移向两端,从而建立了极性,形成二核胚囊;珠孔端和合点端的每核又进行分裂,形成四核胚囊。连续经过了三次核的有丝分裂后,胚囊体积迅速增大,沿纵轴扩展,但不伴随细胞质分裂,八个核处于同一细胞质中,接着每个核发生细胞化。在珠孔端的四个核有3个组成卵器(egg apparatus),体积小呈楔形,包含一个卵细胞(egg cell)和两个助细胞(synergids cell),第4个核移向胚囊中央成为上极核;靠近合点端的四个核有3个形成反足细胞(antipodal cell),第4个核为下极核,向上移动至上极核旁,构成含两个核的中央细胞。至此,胚囊发育成熟即形成雌配子体为七细胞八核结构,卵细胞是雌配子(megagametophyte)。 [3]
一叶萩繁殖主要以种子繁殖。 [13]
播种繁殖:在这中国北京地区,育苗期宜在早春5月上、中旬或秋季8月上旬。苗床宜选择向阳和灌水方便的地方。播种前,应整地施肥,每亩施厩肥约3000千克,并作成宽140-150厘米畦,长根据地形定。畦作好以后,将畦面整平即可播种。条播行距25厘米,开浅沟播种,覆土2-3厘米,播后浇水,并经常保持土壤潮湿,春播约10天出苗(秋播8-10天出苗),出苗率70%左右。苗出齐后根据苗的疏密情况,疏苗一次。 [4]
扦插繁殖:扦插时期宜在7一8月份,因此期间温、湿度较高,插条容易成活,如设有加温设备,亦可在春季扦插。选较坚实的枝条,剪成长15-25厘米插条,斜插于砂床中,并保持较高的湿度,如温度在28-35℃范围,相对湿度80%以上时,约20-25天生根,插条成活率在40%左右。生根后移入冷床,准备翌年栽种。 [4]
一叶萩耐于早,故官选择向阳的平地,山坡地及丘陵地裁种。土壤以肥沃或中等肥力的砂壤土或粘壤土,pH以弱酸到弱碱性范围为最适宜;但过粘和地下水位过高的低洼地段,则不宜栽培对肥料有良好反应,因此在秋耕时(或播种前)应施用足够的基肥,施用量可根据地区的土壤肥力状况而定,通常每亩可施厩肥3000千克,在比较贫瘠的土壤可适当增加基肥的用量。北京地区,春季比较于早,当土壤解冻以后,应将土壤耙平,趁整地后土壤潮湿时立即播种。 [4]
种子直播
适用于潮湿地区或有灌溉设备的地段上。在中国北京地区,适宜在每年早春5月或秋季8月上旬播种。条播或穴擢,行距60-170厘米,开浅沟播种,沟深3-4厘米,覆土2-3厘米,播后稍行镇压,并灌水一次。当温度在18-22℃范围,约10-15天出苗,出苗率达65%。苗出齐后,间茁一次,株距35-45厘米。穴播,每穴宜播种10-15粒,穴距60厘米×35-45厘米,每亩播种量0.5-1千克(条播每亩播种量约1-1.5千克)。 [4]
中国浙江地区于4月上旬或8月下旬,按穴距60厘米×40厘米开穴,每穴播种子8-10粒,覆土3厘米,每公顷播种量约11.25千克。当温度在18-22℃时,保持足够湿度,约10-15天出苗。苗齐后,即行间苗,每穴留苗2株。 [2]
定植移栽
春季育苗者适宜在当年秋季10-11月或翌年3-4月移植;秋季育者宜在明年秋季移植。移栽时按行距60-70厘米先用犁开沟,沟深约25-30厘米,然后每隔25-30厘米栽苗1-2株(穴栽每穴宜栽种2株)。定植后立即浇水,在天气干旱时,应连续浇水2-3次,成活率可达100%。 [4]
播种后20天,苗出齐后,即应清除畦内杂草和疏松表土,以后每隔5-20天除草、松土一次,候蓝高4-50厘米时,可减少松土次数,约每隔1-2个月除草一次。生长两年以上的植株,每年可松土除草2-3次。 [4]
为了提高鲜叶的产量,除播种当年施用足够的基肥外,每年或隔年春季或晚秋仍需进行追肥,每亩可施厩肥3000-4000千克,沟施。 [4]
在生长过程中,要进行剪枝,以提高鲜叶的产量,如于冬前在靠近地表处将枝条全部剪去,翌年春即可生出更多的新枝。在中国北京地区,生长第一年可结合采收在9月下旬剪枝1次;二年以上的植株,结合采收每年可剪枝2次,第一次约在7月上旬,第二次宜在9月下旬进行。在生长季节较短的地区亦可根据植株的生长状况结合采收剪枝一次或两次。 [4]
一叶萩幼嫩茎叶可以食用,营养价值高、口感好,是一种集药用和食用于一身的新型野生蔬菜。 [1] [5-6]
一叶萩味甘、苦、平、有毒;其枝、叶、花入药具有活血通络,健脾化积,补肾强筋等功效,用于治疗面神经麻痹,小儿麻痹后遗症,眩晕,耳聋,神经衰弱,嗜睡症,阳痿等。 [12] [14]
一叶萩在园林中可作护坡及遮蔽污地之用,配植于山石也很适宜,观赏价值很高。 [15]一叶萩繁殖能力强,观赏价值高,抗寒抗旱,生长迅速,是荒山绿化和园林绿化的优良树种之一。 [1] [5-6]


评论